汉阳正在慢慢积蓄力量,只待厚积薄发、弯道超车,很多人都不知道汉阳已有了翻天覆地的变化,今天“武汉阿松”就带大家来看看汉阳现在到底有多牛!
汉阳主城区城市快速更新!
商业迎来大爆发!
1、汉阳钟家村核心焕新之作!远洋归元寺规划约59万方特色商业!
2017年4月,远洋以150亿底价拿下归元寺P(2017)033号、P(2017)034号两宗地,4号、6号、7A、7B这4个地块为纯商业规划,总占地面积约12㎡,建面约59万㎡,其中商业建面约9.5㎡,公寓建面约16.6万㎡,写字楼建筑面积约4.88万㎡,酒店建筑面积约1万㎡。

远洋商业部分以低密度开放式商业街(如武汉天地的商业街、花园道商业街)为中轴,两端布局写字楼、公寓和酒店。

商业街部分规划以中式风格为主体,这也符合紧邻归元寺的气质,该项目的建设模板大致是成都远洋太古里。

项目商业部分其规划核心是以现代建筑传承城市文化,原地块中一些历史文化建筑如圣母堂、圣心堂、绣花堂等,得到了完整保留。

该项目商业效果图效果图如下:


2、五里墩万科未来中心预计2021年底开业!
汉阳万科中心VFC,作为武汉万科首个集生活场景、生产场景、消费场景于一体的“三景融合”项目,汇集了7.7万㎡甲级写字楼、5.5万㎡商务SOHO、花园式超高层住宅及11.7万㎡购物中心等,形成以“公共交通为导向”的60万㎡未来式TOD城市综合体。

商业实景图:

项目约11万方的购物中心-万科VCMALL,以家庭客群为核心,主打“亲子家庭、运动健康”两大购物主题,以特色餐饮、时尚零售等多维度业态配比,打造生活馆、都市馆、时尚馆、家庭馆、运动馆、美食馆、互动馆、先锋馆八大消费场域。目前,已与永辉超市、卢米埃影院两家主力店签约。


项目内部设计由贝诺建筑设计事务所操刀,整体以“万花筒”为核心理念,打造五里墩的城市天际线!

3、王家湾片保利香颂50万方商业综合体启动在即!打造约10万方水街商业!
保利香颂商业水街以“水”为主题,根据人群亲水特性设计步行动线,通过下沉式广场、滨水空间提升人群购物体验感。

格局规划上,则通过 “一轴四广场”自西向东由排布约5500㎡国际影院中心、约4700㎡图书文创中心、约5000㎡运动健康中心、约6000㎡青年中心四个主力业态区,同时设置精品超市与豪车展厅,结合四个广场形成客流拉动点。

早在2018年,保利香颂与保利商管就水街运营正式签约,保利商管与YOOYA、名仕台球、恒业影院、莫莉幻想、加洲健身等签署意向战略合作协议。
水街商业区规划效果图:

4、王家湾片纽宾凯武汉中央都会区打造约200万方都会封面!
纽宾凯汉CITY·汉棠本身带有商业建筑面积约14万方(含办公商业建面约约5万方),其K5地块,还规划有甲级写字楼、BLOCK街区、健康主题街区、艺术风情街、购物中心、主题酒店、娱乐潮流中心等。

纽宾凯K5地块为纽宾凯CITY+国潮公寓,它是一座高约100米的综合体塔楼,分为“潮生活”、“潮工作”、“潮社交”、“潮休闲”等众多业态,其中1-5层预计为时见鹿跨界集合店,集合书店、主题咖啡馆、文创产业、时尚潮品、饮品等,与地块内的开放式block商业相结合打造武汉漫时尚街区。

街区效果图:

据悉,街区将进行重大升级,今年年底首创武汉沉浸式情景街区!

此外,四新纽宾凯局部商业已经开业,已入驻肯德基穿梭餐厅、星巴克咖啡、纽宾凯国际影城、以及麦德龙、旺斯达幼儿园等大型知名商业,俨然成为是四新片区商业标杆。

5、新港长江城规划已出,汉阳滨江板块将打造现代化城市界面!
新港长江城规划位于汉阳滨江板块,将打造集特色旅游休闲、现代化居住区、商业&商务等为核心的超200万方的城市综合体,片区内将打造龙湖与树河金街两大商业规划!

龙湖商业体,规划1栋约260米的高楼将成为未来区域的地标建筑,地块内还有3栋商办楼栋及约3万㎡集中商业街区,龙湖操盘商业非常知名,龙湖在武汉已规划落定多座龙湖天街,该商业非常值得期待。
龙湖自带商业体效果图:

新港长江城内还规划有树河金街商业,该规划作为长江主轴景观轴的重要组成部分,规划打造占地6公顷的开放式绿化空间,地上将打造成近160米的垂江自然风景带,地下则打造成商业综合体,特色十足!

6、约76万方文化艺术商业名胜落地琴台中央文化艺术区!
融创·武汉1890注重历史遗存的更新保护,对原铁厂约5.5万工遗建筑将在遵循国家有关保护规定的基础之上做更新创新,在032号地块规划打造约76万方的文化艺术商业区。

项目商业地块规划建设智慧商务区、艺术活力区、设计创意区和工业艺术馆4大功能区:
智慧商务区:规划打造为未来之城,包括现代商务办公、钢材交易中心、办公服务配套,满足复合业态需求。

艺术活力区:规划打造为艺术之心,包括艺术商业街区、艺术体验区、中央艺术公园等功能区,未来会成为城市新文化高地。

设计创意区:规划打造为设计之都,包括设计企业孵化、设计产业办公、配套服务设施等功能区,打造具有艺术氛围的创意商务中心。

工业艺术馆:规划打造张之洞博物馆、武汉工业博物馆,进行文化功能拓展,打造城市书院,文化客厅、艺术共享空间。

融创·武汉1890的商业规划定位在武汉几乎是前所未有的,约76万方的巨型商业体量也很少有项目能匹敌,再加上其工业文化遗址的先天优势,必将为武汉开创一个新的地标。
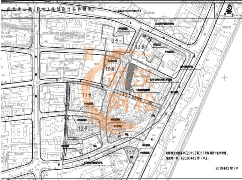
归元片二期重量级地块来了!
根据武汉土地市场网公告显示,6月23日武汉将挂牌归元片二期项目的A包和B包重磅地块!

P(2020)13号归元片二期A包地块位于汉阳大道以南,拦江路以北,鹦鹉大道以东,阳新路以西,共8个地块,规划用地总面积约10.66公顷!将打造商服用地、住宅用地、文化活动用地、公园与绿地!

其中,1号地块内临鹦鹉大道设置一处高度不低于200米的塔楼地标!并且竞买人须承诺若竞得地块后,引入1家或以上控股股东为《财富》杂志2019年公布的世界500强公司的总部或区域总部入驻。竞得人须自持公建(含商业服务业设施及文化活动设施)计容总建筑面积的50%以上,自持部分在项目竣工验收后10年内不得整体或分割转让、销售。
P(2020)14号归元片二期A包地块位于汉阳大道以南,拦江路以北,阳新路以东,滨江大道以西,规划总用地面积约7.03公顷,共7个地块,规划为商服用地、住宅用地、公园与绿地用地!

其中,14号地块内临滨江大道将建设标志性建筑双塔,结合公共通道形成垂江开放空间廊道;注重开敞空间形态营造,打造显正街通江轴线。竞买人须承诺若竞得地块后,引入1家或以上控股股东为《财富》杂志2019年公布的世界500强公司的总部或区域总部入驻,并建设一座五星级标准的品牌酒店。竞得人须自持公建计容总建筑面积的50%以上,自持部分在项目竣工验收后10年内不得整体或分割转让、销售。
地块整体分布图:

这两个地块即将出让,意味着汉阳核心城市面貌再升级!继远洋归元寺项目之后,大归元板块再有新动作!大汉阳核心华丽转身!涅槃重生!
产业引进重大突破!
1、金茂落子四新方岛!武汉第一座人工岛打造“城-人-产”新城!
2020年3月31日,中国金茂成功摘得汉阳区四新生态新城011号、012号两宗地块。不久之后,一座智慧之城、绿色之城、生态之城、国际之城、创新之城、创意之城将在四新方岛成为现实。
方岛属汉阳四新片区的中心区域,位于四新生态新城的城市主轴线—四新大道“城市之脊”中部,规划用地面积约100公顷。四新方岛金茂项目宗地块净用地面积约62.71万方,计容总建筑面积约130万方。

四新方岛是武汉第一座人工岛,由蝶形的凤凰湖围合而成,拥有得天独厚的自然资源优势。中国金茂将与各产业方协同合作,运用“城-人-产”的城市运营发展理念,建设高品质城市。

建成后,四新方岛将成为全国一流、全市先进的总部楼宇经济示范区、健康优质生活区、现代服务业集聚区,以数字化、协同化、产业化、智能化、融合化为基础,建设武汉三镇均衡协调发展,大汉阳地区重要支撑的亮点区块。

2、动漫城落子四新方岛!打造中国(武汉)文化消费体验区!
5月29日中国动漫集团毫无悬念摘得P(2020)035号地块,汉阳区芳草路与四新大道交叉口西南角,属于四新方岛的一部分!

该地块是拟打造中国(武汉)文化消费体验区,根据前期汉阳招商签约内容来看,基本已确定为中国动漫集团获得。据了解,该公司已向汉阳汇报“中国(武汉)文化消费体验区”项目定位、内容规划、建设工作进展、土地使用现状、建设资金使用、规划设计、产业资源引入筹备情况。

地块主要要求:
竞得人需引入“国家动漫创意研发中心、国家动漫游戏综合服务平台、国家沉浸式交互动漫重点实验室、海外推广中心”等国家级平台、实验室或其分支机构入驻。
竞得人需引入中国科学院旗下《互联网周刊》、eNet研究院共同评选的《2018年文化创意企业100强排行榜》文化品牌企业不少于5家入驻。
竞得人需对04B4地块自持商务建筑面积不少于32%,并自竣工验收之日起自持不少于10年。
竞得人需提供5.11万平方米商务用房(包括对应的地下空间)作为产业用房。
3、6月18日土拍,四新方岛将引进综合体育场+滑雪场!
6月18日土拍,即将推出总体量约41万方的P(2020)042号地块,要求配建滑雪场和引进世界500强企业总部,四新方岛拼图进一步完善!

地块主要要求:
1、竞买人须承诺若竞得地块后建设不低于5万方的综合体育场馆,其中包含不低于1.8万方的室内滑雪场,并自持约8.285万方的全部综合体育场馆及其配套商业。体育场馆须自成交之日起半年内开工、3年内开业,并引入一家专业滑雪场运营方负责运营,该运营方需具有滑雪场运营经验,并承诺对该滑雪场持续运营20年以上。
2、引入不少于1家(含1家)世界500强企业区域总部入驻(以2019年《财富》杂志公布的企业名单为准),并引入全球商品直销中心及商服管理运营平台公司对项目商业进行统一招商和整体运营。
3、建设不低于1万平米的企业服务平台,并引入不少于1家(含1家)入围湖北省科技厅公布的湖北省“众创空间”名单的企业入驻经营。
4、竞得人须自成交之日起15个工作日内与汉阳区人民政府就承诺内容签订落实监管协议。
5、综合体育场馆与住宅同步开工,滑雪场结构封顶经武汉四新生态新城管委会审核认可后,住宅方能预售。
4、首场“云招商”11个总部项目落户汉阳!
4月8日,武汉迎来重启时刻,武汉市首场“云招商”活动开启。其中11个总部项目落户汉阳,包括东风物流总部、省文投总部项目、猿辅导第二总部项目、丰巢华中区域总部等。

5、还有一大波地标写字楼纷至沓来!汉阳城市界面大升级!
四新总部经济战略规划已落地实施,中铁大桥局集团、湖北交投实业集团、武汉城投集团、中核集团中南总部等纷纷落子进驻,更是打造了一批地标建筑!
中铁大桥局集团总部大楼已经建成落地:

光明地产、交投地产两大国企的湖北国展中心广场基本完工!它由2栋约200米的超高层写字楼和底层配套商业组成。

规划用地约69亩,总建面约28.7万方,主楼高238米,副楼高90米的中南科研设计中心已开工,计划于2023年竣工。

约280米的海伦堡四新第一高楼已开工:

2019年11月8日,湖北交投于汉阳区江城大道与四新大道交叉口东南角的新建商务设施项目报规,该项目为湖北交投实业总部,将建一栋超高层塔楼,其中临江城大道的主体建筑高度为220米,四新大道主体建筑高度为190.8米。

还有规划约258米高的恒大珺睿项目:

汉阳交通利好众多
汉阳已经驶入城市交通建设的“快车道”,已建成的3条地铁使汉阳快速步入“地铁时代”。未来,汉阳交通会越来越方便!
1、未来汉阳将拥有6条地铁线,全面进入“地铁网络时代”!
除了已开通的3、4、6号线,未来还将启动10、11、12号线建设,届时拥有6条地铁线的汉阳,交通简直不要太便利!

地铁10号线走向:阳逻—武汉火车站—中北路延长线—二环路北段—二七路—发展大道—长丰大道—107国道—墨水湖北路(规划中)。

地铁11号线走向:蔡甸—新汉阳火车站—国博中心—穿过长江—武昌火车站—光谷广场—光谷火车站—左岭新城(规划中)。

地铁12号线走向(武汉首条环线地铁):汉口火车站—后湖—青山—沙湖—武昌火车站—汉阳四新—墨水湖—汉口古田—汉口火车站(部分段已开工建设)。

2019年9月25日,武汉地铁4号线三期(蔡甸线)工程建设完成并通车,蔡甸线与4号线贯通运营,可直达王家湾、钟家村、武昌火车站、楚河汉街、武汉火车站等重要区域,也可以在汉阳换乘3、6号线至汉口。

蔡甸线工程线路全长16公里,高架站2座,地下站7座。蔡甸线的通车,拉近了蔡甸市民与武汉主城区的距离,蔡甸人民的“地铁梦”向前迈进了一大步。

2、汉阳桥多,武汉之最!2019年杨泗港长江大桥通车,2020年江汉七桥有望开通!
顺着长江数,武汉长江大桥、鹦鹉洲长江大桥、杨泗港长江大桥、白沙洲长江大桥4座桥与汉阳相连;顺着汉水数,晴川桥、江汉桥、月湖桥、知音桥、江汉七桥(在建)、古田桥、长丰桥7座桥与汉阳相连!而武汉近几年兴起桥梁,均在汉阳,彻底打通区域经济发展命脉。
杨泗港长江大桥2019年通车:作为长江上首座双层悬索公路大桥,主跨1700米,一跨过江,创下新的世界之最。

杨泗港长江大桥是长江上首座双层公路大桥,也是世界最大跨度双层悬索桥。设计使用寿命100年,投入超过80亿元建设,于2014年12月3日动工兴建,全长4.13公里,是世界上通行能力最大、使用功能最完备的大跨悬索桥,两岸连接汉阳四新,洪山、武昌的青菱、白沙洲、南湖。
在地图上杨泗港长江大桥已有明确标注:

随着杨泗港长江大桥开通,武汉长江上10座桥梁齐了!进一步拉近了汉阳、白沙南湖的距离,对于四新、白沙洲和南湖区域的交通,也有明显的促进作用,或将在一定程度上能够缓解白沙洲和南湖的拥堵。另外杨泗港长江大桥的通车也形成了新的二环线,让武汉也步入新环线时代。
武汉第七座跨汉江大桥-江汉七桥最早有望于2020年底通车:5月25日,江汉七桥汉阳岸引桥第二联钢箱梁合拢段顺利完成吊装,至此,江汉七桥汉阳岸引桥成功跨越琴台大道。

江汉七桥位于知音桥与古田桥之间,北起解放大道与古田四路交叉口北侧约380米,以新建高架桥形式下穿轨道交通1号线,向南跨越解放大道、沿河大道后过汉江,过江后通过新建高架桥依次上跨堤顶路(知音大道规划段)、琴台大道后,止于与玉龙路相接点,项目全长2754米。

江汉七桥主桥桥型为中承式钢桁系杆拱桥,按照城市次干路双向6 车道标准建设,主桥预留远期拓宽至双向8 车道条件。主线设计车速为40公里/小时,辅道为40公里/小时,立交匝道为20至30公里/小时。

该桥建成后将有效减轻二环线过汉江的交通压力,进一步完善硚口、江汉和汉阳3区之间城市路网系统,对促进琴断口地区及沿线地区土地开发利用和经济建设、提高沿线道路的使用效率、改善该地区交通状况起到重要作用。江汉七桥建成后还将有利于把汉江滨水商住带打造为集商贸商务商住于一体、凸显江城滨水特色的经济生活带和城市景观带,全面融入武汉“两江四岸”协调发展之中,是改善投资环境和生活环境的需要,是实现区域可持续发展战略的重要举措。

3、新汉阳火车站武汉西站即将于2021年开工!
新汉阳火车站也叫武汉西站,毗邻中法生态新城,将城铁、高铁、城市轨道交通,与天河机场进行衔接,它将成为汉阳地区很方便的交通枢纽,构筑汉阳交通新格局!武汉西站对所在区域乃至武汉市,都具有重要的战略意义。

城市留言版中,“武汉西站”(新汉阳火车站)预计2021年开工建设!项目将作为重点工程提上议程!

武汉西站(新汉阳火车站)选址蔡甸后官湖附近,位于中法生态新城内,距离王家湾商圈仅4站路,周边有地铁4号线黄金口站、地铁蔡甸线新天站!

该火车站主要办理西安方向动车,部分宜昌、长沙、 九江、安庆方向动车,以及至天门、潜江等方向的城际铁路,一旦新汉阳火车站建成,从武汉可直达西安,中途不用换乘,缩短1个小时路程。

4、据传言,高大上的光伏智能道路有望在汉阳建设!
根据市民提议以及政府规划,很可能选址在智慧生态城与汉南的通航产业园!光伏路就像一个巨大的充电宝,可以为汽车边走边充电,还能调节路面温度,利于冬天化冰。

济南光伏道路
教育配套更上一层楼
汉阳板块教育资源本身就比较充足,随着新项目的不断落地,人口的流入,又新建引入了一批优质学校!学校教育资源更上一层楼!
1、2019年9月,钟家村第二小学和武汉三初开学!
两个学校位于远洋东方境世界观A2地块教育用地,钟家村第二小学为6班小学,武汉三初为24班初级中学,目前均已开学!
钟家村第二小学:

武汉三初:

2、晴川实验小学开学!
晴川实验小学位于汉阳滨江板块,是武汉市教科院附属小学,武汉市教科院是武汉地区教育教学的研究中心、咨询中心、教育培训中心和武汉市教育科研规划管理和指导中心。晴川实验小学的教育水平有保障。

学校实景图:

该学校的逼格较高,在各项硬件配置上也是十分全面和先进,依托武汉市教科院的科研优势和专业力量,不仅是周边小区的孩子们有福了,也将大大提升汉阳区域整体的教育竞争力。
高大上的硬件配置:

3、墨水湖三小和墨水湖中学已开工,最早有望于2021年完工!
2019年9月6日,墨水湖三小规划方案公示,位于汉阳区墨水湖南路以北、连通港路以东。墨水湖三小总用地面积19500㎡,包括综合教学楼、报告厅、食堂、风雨操场、阅览室等,规划班级24班,校内设置250米环形跑道,100米6直跑,以及足球场1个。

墨水湖三小旁边就是墨水湖中学,建成后,墨水湖三小将开设24个教学班,每班45人,提供学位1080个。墨水湖中学将开设24个教学班,每班50人,提供学位1200个。

墨水湖三小及中学施工进度:

4、国博四小(钟家村小学分校)已报建!
国博四小位于汉阳区老关路以东,谢庭街以南,规划用地面积20233平米,共30个班,可容纳1350人,设立教学、行政办公、图书馆、报告厅、风雨操场、食堂、公共空间及其他附属用房。

4月15日该项目已报建!并且已经确认为钟家村小学分校!

宣传图:

此外,学校隔壁就是规划中学用地,据了解引入的是武汉三初分校,具体还没有确定!

5、永安堂小学已封顶,计划于2021年招生!
永安堂小学位于武汉市汉阳区琴台大道以南,燎原路以东,占地面积1.91公顷,有学术报告厅、舞蹈、音乐、创客等辅助功能教室,也有塑胶操场、足球场、篮球场以及室内风雨操场等活动场所,还设有图书馆、阅览室、饮水区等休闲区。学校建成后规划为30个班,可容纳约1400名学生同时就读,学校将于2021年9月迎来第一批学生入学。

学校封顶:

6、郭茨口小学更名为华中师范大学附属郭茨口小学,已开学!
原郭茨口小学,迁入万科国际配建新校,引进国内知名教育品牌华中师范大学托管办学,更名为“华中师范大学附属郭茨口小学”。新增4个班,200个学位。

7、四新片区有大量新学校建成并开学,不断推动四新优质教育集中发展!
武汉三中新校区:

武汉市晴川初级中学:

墨水湖小学:

西大街小学国博校区:

弘桥小学金桥校区:

英才小学:

此外,国博三小已于2019年开工建设。项目规划30个班,规划净用地面积1.74万方,包含教学楼、综合楼等。

8、2020年还有一批学校即将开工!
芳草二小:规划位于芳草路以西,四新北路以北,30个班规模,占地2.4公顷,计划2020年11月开工。

墨水湖二小:规划位于渔业路以西,三青路以北,30个班规模,占地1.97顷,计划2020年5月开工。

近年来,汉阳区着眼教育均衡化发展,强力打造钟家村教育示范中心、二桥地区教育发展中心、四新地区现代教育中心等“三个教育中心”,全区义务教育阶段校际差异快速缩小,优质资源迅速扩容,义务教育均衡发展已从基本均衡转向优质均衡。
医疗资源越来越强!
1、泰康同济(武汉)医院开诊了!
泰康同济(武汉)医院,是世界500强企业泰康保险集团全资投资并与华中科技大学同济医学院附属同济医院合作管理,按照三级甲等标准建设的高品质大型综合医院。

医院位于汉阳区四新生态新城,占地面积9万方,建面约27.6万方,远期规划床位1600张。医院经湖北省卫健委批准执业,性质为非政府办非营利性。医院采取“强专科+大综合”的方式运营,着力打造战略学科肿瘤中心,重点学科包括呼吸内科、胸心外科、普外科、骨科和神经外科,特色学科为健康管理中心。

2、武汉市中医医院汉阳院区开业!
武汉市中医医院汉阳院区项目选址于芳草路以东、墨水湖南路以南、总港以西、杨泗港快速通道以北区域,于2015年年底开业,解决了四新医疗配套短板的问题,为四新添加一所三甲医院。


汉阳,水美岸清风光好!伯牙子期遇知音!
汉阳生态环境也非常好,近年来汉阳区全面加强大气污染防治,连续两年改善空气质量工作在全市综合考核排名第一。
1、月湖风景区升级完成!
2018年10月开始,月湖风景区启动景观提升项目—修建长约6.5公里的环湖绿道,5处景观节点为市民提供休憩空间,2019年月湖这一武汉“最美客厅”完成华丽变身。


2、武汉市最大公园知音公园启动!打造城市“森林氧吧”!
蔡甸区将建占地约约415公顷的知音公园,将会是武汉市最大公园,面积相当于解放公园的10倍!

公园将以伯牙与子期的故事为原点出发,扩展知音的涵义,从人与人的高山流水的知音、中法两国文化交融的知音,升华到人类与自然间“道法自然、天人合一”的知音。建成后又将是武汉一大地标性好去处。

知音公园示意图:


3、规划约63万方汉水公园,汉江周边生态环境再升级!
汉江之滨还会修建起约63万方的汉水公园(部分已建成),还能实现汉水生态环境升级。汉水公园规划约63万方,目前部分已经建成东边的10万方。
已经建好的汉水公园部分,园内非常安静,还设置了健康跑道,是休闲锻炼的好去处。得益于汉水公园(部分已建成),项目与公园之间还规划了城市绿线,蟠龙路(在建)和花园湾路(规划)两边均有绿化规划。
已建成汉水公园实景图:



4、汉阳历史底蕴深厚,拥有晴川阁、古琴台、归元寺等风景名胜!
龟山电视台:

汉*江阳**滩大禹治水雕塑:

钟家村归元禅寺:

有“历历汉阳树”的晴川阁:

“高山流水遇知音”的古琴台:

5、汉阳还有众多文化艺术地标,汉阳造、古琴台、武汉国际博览中心等!
汉阳造:

琴台大剧院:

武汉国际博览中心是中部最大、全国第三的展览场馆,中心展览面积18万平方米,相当于17个足球场大。


这就是古典与现代相结合的汉阳,也是商业、产业、城市面貌快速更新的汉阳!是九省通衢、生活宜居的汉阳!更是压抑多年,即将全面爆发的汉阳!

汉阳,大城崛起!